لهذا السبب .. تم تسمية إعصار " تشابالا " بهذا الاسم

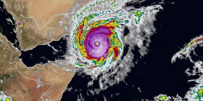
إعصار تشابلا (بالانجليزية:Cyclone Chapala) هو أقوى إعصار استوائي في المحيط الهندي، حالياً بالقرب من اليمن، تكون تشابالا في من منطقة ضغط منخفض في بحر العرب التي تصاعدت لتتحول الى منخفض في 28 أكتوبر 2015. ووصل إلى عاصفة إعصارية شديدة جداً في اليوم التالي. وتكثف بسرعة ليصبح في الأيام التالية أقوى إعصار مداري في المحيط الهندي، والأقوى في بحر العرب منذ إعصار غونو.

واقترح اسم تشابالا من قبل بنغلاديش، وهو يعني "لا يهدأ" في اللغة البنغالية.

ومن المُرجح عبور مركز الإعصار شابالا إلى الشمال من جزيرة سقطرى اليمنية يومي الأحد والاثنين 1 و2 نوفمبر، وهو في ذروة قوّته، ما سيعمل على هبوب رياح قوية، وارتفاع الأمواج لما يقارب 10 أمتار عبى سواحل الجزيرة، إضافة إلى هطول كميات كبيرة من الأمطار قادرة على إحداث الفيضانات والسيول الجارفة على الجزيرة التي يبلغ عدد سُكانها ما يقارب 50 ألف نسمة. ومن المتوقع أن يمر بين منطقتي بروم في حضرموت وبالحاف في محافظة شبوة وسط اليمن.

وقد وصل الاعصار قبل ساعات الى  جزيرة سقطري اليمنية، الواقعة في البحر العربي،مصدر في المحافظة  عن الخسائر الأولية في الجزيرة جراء وصول إعصار تشابالا المدمر إلي سواحلها الشرقية..    

وقال مكتب محافظ سقطرى "سعيد عمر" ، إن الأضرار حتى الآن بلغت تدمير 80 منزلا بالكامل وتضرر 100 منزل جزئيا وتم إجلاء 10 ألف مواطن .  

وكانت مئات الأسر، غادرت فجر اليوم، منازلها الممتدة على الشريط الساحلي بمدينة حديبو، عاصمة جزيرة سقطرى ومنطقة قلنسية، بعد اشتداد الرياح والأمطار وارتفاع الأمواج الناتجة عن إعصار "تشابالا" التي أغرقت أغلب المنازل الموجودة على الساحل